Bệnh thối lá (mảng lớn) ở cỏ
Xảy ra ở cỏ cỏ mùa ấm vào mùa xuân và mùa thu, tạo thành những mảng lớn dài vài mét. Nó thường xảy ra trên fairway và gồ ghề của các sân gôn. Các mảng màu nâu, nhưng khi bệnh nặng, vành có màu nâu đỏ sẫm. Cỏ bị bệnh có thể bị kéo ra dễ dàng do mặt sân bị xâm phạm. Sự xuất hiện của bệnh phụ thuộc vào nhiệt độ và lượng mưa, và cần thận trọng khi có mưa ở nhiệt độ tối đa khoảng 20 ° C. Quá nhiều nitơ và thoát nước kém sẽ thúc đẩy sự khởi phát của bệnh. Sợi nấm dày của nấm Rhizoctonia được tìm thấy trong các bẹ lá của cỏ bị bệnh.

Các bản vá lỗi lớn thường xuyên xảy ra trên fairway

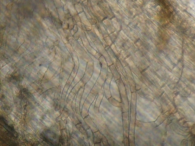
Sợi nấm dày của nấm vá lớn
Cosangolf.vn - Xây dựng lại tiêu chuẩn về cỏ sân golf tại Việt Nam.
Kể từ khi thành lập, mục tiêu của Cosangolf.vn - Một thương hiệu thuộc Công ty TNHH T&C Hùng Anh, là trở thành công ty chăm sóc cỏ sân golf, nhà cung cấp các giải pháp cho cỏ sân golf hàng đầu tại Việt Nam. Bao gồm cả cỏ sân golf nhân tạo và cỏ thật.
Ngành công nghiệp cỏ vẫn còn ở giai đoạn sơ khai. Điều đó có nghĩa là luôn có những cải tiến cần thực hiện, các kỹ thuật - công nghệ cần được khám phá. Vì vậy, phương châm của chúng tôi là không ngừng nỗ lực tìm hiểu, nghiên cứu và mang lại những giải pháp hiện đại, hiệu quả về công nghệ và vật liệu tới thị trường golf tại Việt Nam.
Điều này đảm bảo rằng khi chúng tôi nói:
“Chúng tôi có loại cỏ nhân tạo chất lượng cao nhất, bền lâu nhất, thoát nước nhanh nhất” đó là sự thật 100%.
“Chúng tôi có các sản thuốc diệt nấm, thuốc diệt cỏ, thuốc trừ sâu, chất tạo màu cho cỏ sân golf tốt nhất, hiệu quả nhất hiện nay không chỉ tại Việt Nam mà trên toàn thế giới”, đó là sự thật 100%. Chúng tôi Nhà phân phối độc quyền của BASF về cỏ sân golf tại Việt Nam - Nhà sản xuất hóa chất lớn nhất và lâu đời nhất thế giới.
Các Sản phẩm - Dịch vụ của Cosangolf.vn bao gồm:
- Cung cấp giải pháp quản lý cỏ sân golf
- Cung cấp thuốc bảo vệ thực vật (thuốc trừ sâu, thuốc diệt nấm, thuốc diệt cỏ) chất tạo màu sân golf, chất tẩy rửa hồ chứa trong sân golf).
- Cung cấp cỏ nhân tạo sân golf cao cấp
- Cung cấp thiết bị - phụ kiện chăm sóc sân golf (thiết bị đo lường, thiết bị khảo sát, thiết bị chăm sóc, thiết bị tưới cỏ vùng green, vật tư thay thế)
- Thi công phủ xanh sân golf, thi công thảm putt trong nhà và ngoài trời bằng cỏ nhân tạo và cỏ thật.
Vui lòng liên hệ để nhận báo giá hoặc tư vấn dịch vụ chi tiết:
Văn phòng Hà Nội (trụ sở chính): 15BT16A3, Làng Việt Kiều Châu Âu, phường Mộ Lao, quận Hà Đông, TP. Hà Nội.
Văn phòng tại TP. Hồ Chí Minh: 104 Nhất Chi Mai, phường 13, quận Tân Bình, TP. Hồ Chí Minh.
Điện thoại: 0943794433
